Zoning Amendment PL2023-101

Share Zoning Amendment PL2023-101 on Facebook Share Zoning Amendment PL2023-101 on Twitter Share Zoning Amendment PL2023-101 on Linkedin Email Zoning Amendment PL2023-101 link
The RDN is currently looking for your input on zoning amendment application PL2023-101.

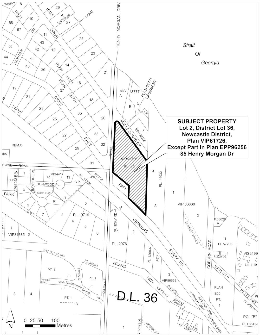
85 Henry Morgan Drive

The RDN has received a zoning amendment for the property legally described as Lot 2, District Lot 36, Newcastle District, Plan VIP61726, Except Plan EPP96256. The subject property is currently zoned Residential 2 Subdivision District M (RS2M) (see Document Library), which allows up to two dwelling units per parcel, secondary suites, home based business, and accessory buildings.

The proposal is to amend the RS2 zone to a Comprehensive Development Zone that would permit the creation of a residential development consisting of up to eight parcels supporting one dwelling unit per parcel and one larger parcel supporting up to 19 dwelling units of limited size.

This is in your community and we want to hear your thoughts on this proposal. A few ways you can learn more and share your thoughts are by:

  • Check out our Document Library which includes the site plan and supporting studies
  • To see the status of the application and next steps visit our Process
  • Visit the FAQ's or Important Links for more information
  • Be sure to Register to provide your input
  • Share your thoughts on the application in the Application Input tab below
  • Submit your questions and we will provide an answer for all to see in the Ask a Question tab below
  • Project updates will be shared in the What's New tab as the project moves forward
  • Connect with our team by email or phone - see our contact info in Who's Listening

Please note that in accordance with Section 464 of the Local Government Act (LGA), as the proposal is consistent with the Official Community Plan and is a residential development, the RDN must not hold a public hearing with respect to the proposed bylaw. Therefore, the intent of this page is to provide information with respect to the proposal and to provide an opportunity for the public to share their ideas, concerns, and local information with staff and the Board.



85 Henry Morgan Drive

The RDN has received a zoning amendment for the property legally described as Lot 2, District Lot 36, Newcastle District, Plan VIP61726, Except Plan EPP96256. The subject property is currently zoned Residential 2 Subdivision District M (RS2M) (see Document Library), which allows up to two dwelling units per parcel, secondary suites, home based business, and accessory buildings.

The proposal is to amend the RS2 zone to a Comprehensive Development Zone that would permit the creation of a residential development consisting of up to eight parcels supporting one dwelling unit per parcel and one larger parcel supporting up to 19 dwelling units of limited size.

This is in your community and we want to hear your thoughts on this proposal. A few ways you can learn more and share your thoughts are by:

  • Check out our Document Library which includes the site plan and supporting studies
  • To see the status of the application and next steps visit our Process
  • Visit the FAQ's or Important Links for more information
  • Be sure to Register to provide your input
  • Share your thoughts on the application in the Application Input tab below
  • Submit your questions and we will provide an answer for all to see in the Ask a Question tab below
  • Project updates will be shared in the What's New tab as the project moves forward
  • Connect with our team by email or phone - see our contact info in Who's Listening

Please note that in accordance with Section 464 of the Local Government Act (LGA), as the proposal is consistent with the Official Community Plan and is a residential development, the RDN must not hold a public hearing with respect to the proposed bylaw. Therefore, the intent of this page is to provide information with respect to the proposal and to provide an opportunity for the public to share their ideas, concerns, and local information with staff and the Board.



  • The RDN is seeking community input on this application through the use of an online form. Please take a few moments to share your thoughts on this application by completing this form no later than October 23, 2025. If an application does not proceed immediately to the Board after October 23, 2025, the questionnaire will continue to be live until the application is scheduled on the applicable agenda. At such time, the form will be closed. 

    The input gathered will be posted in the document library. The input will also be attached to the application and considered by the RDN Board of Directors, helping inform the decision making process.

    Provide Input
    Share Application Input on Facebook Share Application Input on Twitter Share Application Input on Linkedin Email Application Input link
Page last updated: 25 Sep 2025, 01:19 PM